0202.2010
Когато си започнал да катериш преди 40 години и особено ако нещата ти се удават малко трудно, трябва да си се научил и да губиш. На 16 и 17 януари тръгнахме с Митко Илиев* “с голямата кошница” да опитаме една премиера в лявата част на стената на Езерния лед.
На снимките, които бяхме разглеждали, избраната линия изглежда толкова очевидна! Е, за пореден път се убедихме, че действителността е доста различна от това, което си мислим, седейки на топло пред монитора.
Бяхме се натоварили яко – скални клинове, клеми, френдове, няколко болта с шило и чук (за площадките) и няколко ледени клина. Сигурен съм, че на Айгер хората тръгват с по-малко инвентар. Отделно ски и колани за подхода, лавинни уреди, лопатки, сонди. А пък и Митко с неговите два чифта обувки!
Нашата първа цел. Тръгнахме като аслани...
Този път опитът ни приключи на петнайсетина метра над основата. Просто Митко не намери нито едно място за осигуровка. Оказа се, че там където тръгнахме, по скалите беше натекъл тънък лед, който ставаше за катерене на предни зъби и сечива, но нямаше никакви цепки. Ние носехме много и разнообразни джаджи за скала и само 2-3 ледени клина. Грешка! “Митко, може би не сме дорасли за тази стена, а?” “Може и така да е” – отвърна той, но вместо да слезе продължи известно разстояние нагоре и встрани, влизайки в задънена улица. Сигурно така му беше по-лесно да приеме поражението. Накрая, след близо час прекаран в несигурна поза на предните зъби, похарчи два от безценните ледени клинове и един прусик и “осигурен” слезе внимателно с катерене. Аз си мислех, че като опънем двамата яко въжето клиновете ще изскочат и ще си ги приберем, но не стана. Да се не надяваш! Тръгнахме си заканвайки се като Шварценегер: “Ай уил би бак!”
Вечерта в хижата, докато правехме “разбор” на проявата (Митко се беше погрижил да донесе и помощни материали) и обсъждахме план B за другия ден, се обадиха всички приятели да разберат как е минало катеренето. Дали от това, дали от помощните материали, стана ни много хубаво.
План B беше един красив ръб, който се спуска от върха западно от езерото Бъбрека. (По-късно разбрахме, че на този връх му казват Чочов връх. Не знам защо.) Още преди няколко години бяхме му хвърлили око. Ръбът има източно изложение и в долната си част е скалист и почти отвесен. Очаквахме, че ще има около 50 метра сравнително трудно катерене, след което наклонът на ръба постепенно намалява. Аз преди хранех някакви илюзии, че никой не го е катерил зимно, но Боби Димитров охлади нашия ентусиазъм, като каза, че го е минавал, че е лесен и че не го счита за тур. Е какво пък, не пречи и ние да опитаме, още повече, че отдалеч изглежда наистина логичен и нелек маршрут а и за двама ни е напълно непознат.
Чочов връх и неговия източен ръб в профил, гледан от над Близнака
В неделя сравнително бързо излязохме със ските до подножието на ръба - в западния край на седлото, разделящо Бъбрека от долината на Скакавица. Докато се приготвяхме, вятърът заплашително се засилваше и вече обмисляхме дали да не преминем към план C, но все пак тръгнахме нагоре. От мястото, където оставихме ските, изкачихме без осигуровка долната, лесна част и достигнахме до основата на същинския ръб. Митко поведе и този път (каква благодат!) имаше достатъчно места за осигуряване. Дори и един стар клин на най-трудния пасаж. Боби се оказа прав. Ръбът наистина е по-лесен, отколкото изглежда. (Обикновено е наопаки – отдалече елементарно, а като тръгнеш - голям зор.)
В началото се заобикаля отляво голям камък и се достига до малка и почти отвесна плоча. На нея има стар клин. Налага се да се направят едно-две драй-туулинг движения. След това надясно се влиза в стръмно улейче. Тук имаше достатъчно твърд сняг, в който сечивата и котките държаха идеално. Излиза се на челото на ръба и по къс снежен пасаж се достига до едно второ скално стъпало. Под него Митко беше направил удобна площадката на скален клин и джаджи. Обикновено моят партньор бие клиновете с мерак и не мисли за ваденето им. Обикновено аз се заинатявам и изваждам и най-упоритите от тях. Но този на площадката ми се опря – май само с канго може да излезе. Така че сега има клин на осигуровката. Второ въже минава през 10-15 метра лек смесен терен и излиза на по-малко наклонената част на острия ръб. Ние продължихме още една дължина с осигуровка по ръба.
Реброто Джони
Оттук след кратка разходка до същинския връх се върнахме и слязохме по стръмния южен склон. Снегът в тази част беше малко и нямаше лавинна опасност. Малко по-опасно ни се видя пресичането наляво по нещо като наклонена тераса от която надолу към Бъбрека тръгват няколко улея. Тук имаше доста навят сняг и когато стигнахме обратно до началото на ръба си отдъхнахме с известно облекчение. Бързо слязохме по следите си до ските. В изблик на ентусиазъм от успешното начинание закопчах автоматите и с отворени панти се “шуснах” по лекия наклон. На десет метра по-нататък ставаше равно. “Ей сега ще падна”.Не трябваше да си го помислям! Така се пльоснах по лице с тежката раница, че ми трябваше известно време докато се съвзема.
Малко по-нататък свалихме коланите и се спуснахме, отначало по билото на Сухия чал, а после и по пистата към хижата. Отдолу се качваше голяма група “туристунгери”. Ние в пълна мобилизация и с “брилянтна техника” профучахме край тях правейки перфектни завои в пръхкавия сняг. Няма да се излагаме!
Така приключи още една наша среща с Езерата. Резултатът – 2:1 за домакина. Все пак почетна загуба за нас.
Реших да опиша това начинание, защото ръбът който изкачихме е наистина красив, логичен и привлича погледа. Предлага приятно катерене с добри възможности за осигуряване. Достига се лесно и безопасно за 50-60 минути от х. Рилски езера по Сухия чал. Самият ръб може да се премине за около час-час и половина. Единствено намирането на безопасен път за слизане може да е проблем.
Вярно, че Митко и аз не сме автори на първото изкачване, но това не пречи да станем кръстници на маршрута. Затова предлагаме, ако не се появят “родителски” претенции, да кръстим маршрута “Реброто Джони”. Ще кажете, защо “реброто Джони”. Ами защото не е Реброто Уокър.
Орлин Стойчев
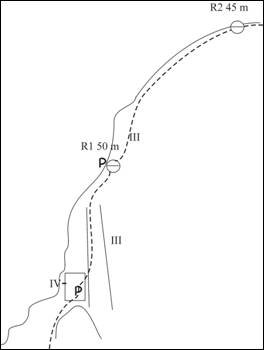
Схема на маршрута
---------------------------------------
*Димитър Илиев и Орлин Стойчев са членове на Алпийски клуб „Вихрен” и на Софийския отряд на ПСС.
На снимките, които бяхме разглеждали, избраната линия изглежда толкова очевидна! Е, за пореден път се убедихме, че действителността е доста различна от това, което си мислим, седейки на топло пред монитора.
Бяхме се натоварили яко – скални клинове, клеми, френдове, няколко болта с шило и чук (за площадките) и няколко ледени клина. Сигурен съм, че на Айгер хората тръгват с по-малко инвентар. Отделно ски и колани за подхода, лавинни уреди, лопатки, сонди. А пък и Митко с неговите два чифта обувки!
Нашата първа цел. Тръгнахме като аслани...Този път опитът ни приключи на петнайсетина метра над основата. Просто Митко не намери нито едно място за осигуровка. Оказа се, че там където тръгнахме, по скалите беше натекъл тънък лед, който ставаше за катерене на предни зъби и сечива, но нямаше никакви цепки. Ние носехме много и разнообразни джаджи за скала и само 2-3 ледени клина. Грешка! “Митко, може би не сме дорасли за тази стена, а?” “Може и така да е” – отвърна той, но вместо да слезе продължи известно разстояние нагоре и встрани, влизайки в задънена улица. Сигурно така му беше по-лесно да приеме поражението. Накрая, след близо час прекаран в несигурна поза на предните зъби, похарчи два от безценните ледени клинове и един прусик и “осигурен” слезе внимателно с катерене. Аз си мислех, че като опънем двамата яко въжето клиновете ще изскочат и ще си ги приберем, но не стана. Да се не надяваш! Тръгнахме си заканвайки се като Шварценегер: “Ай уил би бак!”
Вечерта в хижата, докато правехме “разбор” на проявата (Митко се беше погрижил да донесе и помощни материали) и обсъждахме план B за другия ден, се обадиха всички приятели да разберат как е минало катеренето. Дали от това, дали от помощните материали, стана ни много хубаво.
План B беше един красив ръб, който се спуска от върха западно от езерото Бъбрека. (По-късно разбрахме, че на този връх му казват Чочов връх. Не знам защо.) Още преди няколко години бяхме му хвърлили око. Ръбът има източно изложение и в долната си част е скалист и почти отвесен. Очаквахме, че ще има около 50 метра сравнително трудно катерене, след което наклонът на ръба постепенно намалява. Аз преди хранех някакви илюзии, че никой не го е катерил зимно, но Боби Димитров охлади нашия ентусиазъм, като каза, че го е минавал, че е лесен и че не го счита за тур. Е какво пък, не пречи и ние да опитаме, още повече, че отдалеч изглежда наистина логичен и нелек маршрут а и за двама ни е напълно непознат.
Чочов връх и неговия източен ръб в профил, гледан от над БлизнакаВ неделя сравнително бързо излязохме със ските до подножието на ръба - в западния край на седлото, разделящо Бъбрека от долината на Скакавица. Докато се приготвяхме, вятърът заплашително се засилваше и вече обмисляхме дали да не преминем към план C, но все пак тръгнахме нагоре. От мястото, където оставихме ските, изкачихме без осигуровка долната, лесна част и достигнахме до основата на същинския ръб. Митко поведе и този път (каква благодат!) имаше достатъчно места за осигуряване. Дори и един стар клин на най-трудния пасаж. Боби се оказа прав. Ръбът наистина е по-лесен, отколкото изглежда. (Обикновено е наопаки – отдалече елементарно, а като тръгнеш - голям зор.)
В началото се заобикаля отляво голям камък и се достига до малка и почти отвесна плоча. На нея има стар клин. Налага се да се направят едно-две драй-туулинг движения. След това надясно се влиза в стръмно улейче. Тук имаше достатъчно твърд сняг, в който сечивата и котките държаха идеално. Излиза се на челото на ръба и по къс снежен пасаж се достига до едно второ скално стъпало. Под него Митко беше направил удобна площадката на скален клин и джаджи. Обикновено моят партньор бие клиновете с мерак и не мисли за ваденето им. Обикновено аз се заинатявам и изваждам и най-упоритите от тях. Но този на площадката ми се опря – май само с канго може да излезе. Така че сега има клин на осигуровката. Второ въже минава през 10-15 метра лек смесен терен и излиза на по-малко наклонената част на острия ръб. Ние продължихме още една дължина с осигуровка по ръба.
Реброто ДжониОттук след кратка разходка до същинския връх се върнахме и слязохме по стръмния южен склон. Снегът в тази част беше малко и нямаше лавинна опасност. Малко по-опасно ни се видя пресичането наляво по нещо като наклонена тераса от която надолу към Бъбрека тръгват няколко улея. Тук имаше доста навят сняг и когато стигнахме обратно до началото на ръба си отдъхнахме с известно облекчение. Бързо слязохме по следите си до ските. В изблик на ентусиазъм от успешното начинание закопчах автоматите и с отворени панти се “шуснах” по лекия наклон. На десет метра по-нататък ставаше равно. “Ей сега ще падна”.Не трябваше да си го помислям! Така се пльоснах по лице с тежката раница, че ми трябваше известно време докато се съвзема.
Малко по-нататък свалихме коланите и се спуснахме, отначало по билото на Сухия чал, а после и по пистата към хижата. Отдолу се качваше голяма група “туристунгери”. Ние в пълна мобилизация и с “брилянтна техника” профучахме край тях правейки перфектни завои в пръхкавия сняг. Няма да се излагаме!
Така приключи още една наша среща с Езерата. Резултатът – 2:1 за домакина. Все пак почетна загуба за нас.
Реших да опиша това начинание, защото ръбът който изкачихме е наистина красив, логичен и привлича погледа. Предлага приятно катерене с добри възможности за осигуряване. Достига се лесно и безопасно за 50-60 минути от х. Рилски езера по Сухия чал. Самият ръб може да се премине за около час-час и половина. Единствено намирането на безопасен път за слизане може да е проблем.
Вярно, че Митко и аз не сме автори на първото изкачване, но това не пречи да станем кръстници на маршрута. Затова предлагаме, ако не се появят “родителски” претенции, да кръстим маршрута “Реброто Джони”. Ще кажете, защо “реброто Джони”. Ами защото не е Реброто Уокър.
Орлин Стойчев
Схема на маршрута---------------------------------------
*Димитър Илиев и Орлин Стойчев са членове на Алпийски клуб „Вихрен” и на Софийския отряд на ПСС.
Показани от 1 до 2 от 2 (1 страници)
2 коментар(а)
Ейй Орли ама как само пишеш, ако беше жив Джо Тскър да ти завиди ;)
Кат одъртееш непременно тря да напишеш книга, задължително.
Бравос
Увлекателно написано, наистина! Благодаря :)
Добави коментар